Cas clinique : Maladie de Legg Perthes Calvé chez un chien

La maladie de Legg Perthes Calvé est une maladie dégénérative qui touche la zone de la tête et du col du fémur. Elle va provoquer de l’arthrose secondaire avec comme autre symptômes des douleurs pour l’animal ainsi que des boiteries.

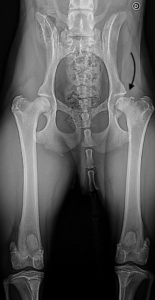
Résumé : Zyon est un jeune chiot croisé Bodeguero de 10 mois qui

présente une boiterie du postérieur droit

Maladie de Legg Perthes Calvé chez un chiot - Clinique vétérinaire Orthovet

Cette boiterie est en évolution depuis 1,5 mois, en renforcement malgré plusieurs traitements anti- inflammatoires. La radiographie du bassin objective une morphologie anormale de la tête du fémur droit Il s’agit à la base d’une pathologie vasculaire du col et de la tête du fémur en croissance qui va évoluer vers une déformation ostéo- cartilagineuse, une fissuration et / ou déformation du cartilage articulaire et de la douleur. 

 

Cette pathologie est aussi dénommée « nécrose aseptique de tête fémorale »

Maladie de Legg Perthes Calvé chez un chien - Clinique vétérinaire Orthovet

Le traitement de cette affection à composante génétique reste chirurgical avec une ostectomie de la tête et du col fémoral. Le pronostic de récupération fonctionnelle reste bon à terme

Les cas cliniques d’Orthovet vous font partir à la découverte des opérations chirurgicales et des traitements pratiquées par notre cabinet : problèmes articulaires, tumeurs, prothèse, arthrose, rééducation, orthopédie, fracture, anesthésie. A travers de nombreux cas de traitements chirurgicaux, nous mettons en lumière le parcours opératoire de nos amis à poils (ou non) préférés. Nos chirurgiens sont spécialisés dans la chirurgie orthopédique et traumatologique classique. N’hésitez pas à nous contacter pour toute demande d’intervention chirurgicale. » 

Partager cette publication