Cas clinique : Dysplasie coxo-fémorale du chiot

La dysplasie des hanches du chien est une affection héréditaire orthopédique à expressivité variable dont les symptômes vont apparaître dès 4 mois d’âge chez le chiot.


L’expression clinique est sous la dépendance de plusieurs facteurs environnementaux dont la vitesse de croissance, le format et l’activité physique

La dysplasie de la hanche est une affection du chiot en croissance qui peut générer une boiterie des postérieurs, douleurs et handicap au bout de quelques mois.

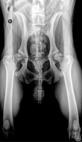
Le dépistage de la dysplasie repose tout d’abord sur un examen clinique spécialisé vigile puis sous sédation. La réalisation de radiologies règlementaires sont effectuées sous anesthésie générale tout comme la mesure d’angle (Norberg Olson) ainsi que la mesure du signe d’Ortolani (permet un examen des 2 hanches simultanément) . Enfin, l’on mesure l’indice de distraction qui va donner un index de distraction soit un ratio compris entre 0 et 1 qui quantifie le déplacement latéral de la tête du fémur.

Le diagnostic de dysplasie de la hanche ne repose en aucun cas sur une seule radiographie et fait appel à des compétences orthopédiques.

 

Tous les chiens présentant une dysplasie coxo-fémorale juvénile ne justifient pas d’une prise en charge thérapeutique (« on ne soigne pas des images »). Les prises en charge thérapeutique éventuelles font appel à plusieurs types de chirurgies :

  • Ostéotomies pelviennes ;
  • Exérèse tête et col fémoral ;
  • Prothèse totale de hanche ;
  • des traitements médicaux, diététiques ou physiothérapiques.

 

Le diagnostic de dysplasie des hanches du chiot et l’évaluation clinique reposent sur une compétence en orthopédie des carnivores.

La stratégie thérapeutique va dépendre de chaque situation et demande une expertise avancée.

Les cas cliniques d’Orthovet vous font partir à la découverte des opérations chirurgicales et des traitements pratiquées par notre cabinet : problèmes articulaires, tumeurs, prothèse, arthrose, rééducation, orthopédie, fracture, anesthésie. A travers de nombreux cas de traitements chirurgicaux, nous mettons en lumière le parcours opératoire de nos amis à poils (ou non) préférés. Nos chirurgiens sont spécialisés dans la chirurgie orthopédique et traumatologique classique. N’hésitez pas à nous contacter pour toute demande d’intervention chirurgicale.   

Partager cette publication